FILTER OPTIONS
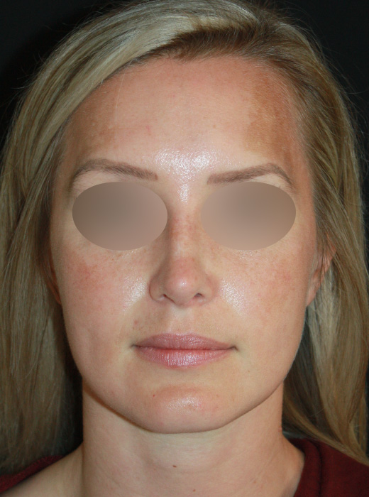
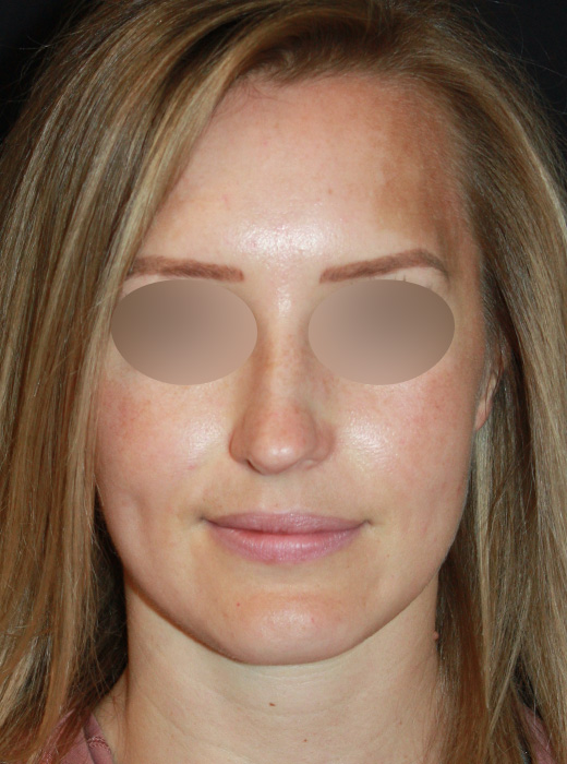
Patient 64
-
Procedures:
-
Age:
20-29
-
Anesthesia:
N/A
-
Post-op:
6 months
- View Case Details
Patient 63
-
Procedures:
-
Age:
40-49
-
Anesthesia:
N/A
-
Post-op:
6 weeks
- View Case Details
Ready to Start?
Schedule a
Consultation
We would love to discuss your goals and begin working toward a more beautiful, refined, and confident you. Please give our office a call at 248.322.3362 or use the form to request a consultation with Dr. Zuliani at Zuliani Facial Aesthetics in Bloomfield Hills.
Contact Us